Schlagworte Tal
Schlagwort: Tal
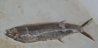
Fotoreportage: Das Jura-Museum Eichstätt – Ein Naturkundemuseum über der Altmühl
Eichstätt, Deutschland (Weltexpress). In Eichstätt an der Altmühl, dort, wo der 227 Kilometer lange Fluss in Bayern einem schwungvollen Bogen macht, liegt die alles...
Prächtige Aussichten, Weine und Käse auf der Berghütte Oberholz in den...
Berlin, Deutschland; Obereggen, Deutschnofen, Südtirol, Italien (Weltexpress). Die Oberholzhütte auf 2.096 Normalhöhennull (NHN) in den Dolomiten bietet nicht nur eine 360-Grad-Panorama-Terrasse für sonnige Tage, sondern...
Die Kleinstadt Buis-les-Baronnies im Ortsverband Drôme provençale und das Gîte du...
Buis-les-Baronnies, Baronnies, Drôme provençale, Frankreich (Weltexpress). Buis-les-Baronnies liegt 375 Meter über dem Meeresspiegel und ist eine verschlafene Kleinstadt mit einer im Kern alten und...
Europas höchstes Motorradmuseum an der Timmelsjocher Hochalpenstraße
Hochgurgl, Österreich (Weltexpress). „Wenn jemand eine Reise tut, so kann er was erzählen“, wusste der deutsche Dichter Matthias Claudius zu schreiben. Gelesen, getan.
Meine Reise...
Enduro pur in der Provence – Rund um und rauf auf...
Buis-Les-Baronnies, Frankreich (Weltexpress). In der Ferne steht er da, der den Provenzalen und Zweiradfahrern aller Provenienz heilige Berg: der Mont Ventoux. Majestätisch mag er...
In Buttenheim steht ein Hosen-Haus oder Von Löb zu Levi Strauss,...
Buttenheim, Oberfranken, Deutschland (Weltexpress). Buttenheim? Hosen-Haus? Von Löb zu Levi Strauss? Von der Regnitz in die Neue Welt?
Buttenheim im Tal der Regnitz
Buttenheim ist eine...
Jurgen Ostarhild im „Talk am Tresen“ – Talkshow im Max und...
Berlin, Deutschland (Weltexpress). Stefan Pribnow im Gespräch mit Jurgen Ostarhild. Teil 4 von 4 der Talkshow „Talk am Tresen“ vom 19. März 2012 im...
Wo Frankreich am französischsten ist – Die Loire im Glanz ihrer...
Blois, Frankreich (Weltexpress). Grüne Flussauen umrahmen die träge dahin strömende Loire. Nie hat man offenbar versucht, das flache Gewässer in größerem Stil schiffbar zu...
















